Freistehendes EFH mit XXL Garage und bebaubarem Grundstück























Beschreibung
Sehr geehrte Interessenten,bei diesem Objekt handelt es sich um ein ca. 134 qm großes freistehendes Einfamilienhaus aus dem Baujahr 1960 auf einem ca. 1458 qm großen Grundstück in familienfreundlicher Lage von Remscheid.
Lassen Sie sich von der Fassade nicht täuschen, im Innenbereich wurde nahezu alles modernisiert.
Im kompletten Objekt wurden vor ca. 9 Jahren alle Rohre der Ver- und Entsorgung, sowie die komplette Elektrik erneuert.
Der Wohnbereich wurde mit Parket, Laminat und Fliesen neu gestaltet.
Im EG finden Sie den großen Wohn-Essbereich mit Ausgang zum großen Balkon, Küche, Flur und Gäste WC. Über eine noch original erhaltene Holztreppe erreichen die das OG mit Schlafzimmer, Büro, Gästezimmer und großem Bad mit Eckbadewanne und Dusche.
Besonderes Highlight ist der zur wohnlichen Nutzfläche ausgebaute Keller
mit Sauna, Fitnessbereich, Gäste WC, Küchenzeile, Stellplatz für Waschmaschine und Trockner, sowie aus Ausgang zum Garten/Grundstück.
Auf dem Grundstück befindet sich eine ca. 11,0 x 7,70 m große Doppelgarage für 2 PKW und zusätzlich viel Platz für Gartengeräte, Werkzeug etc.
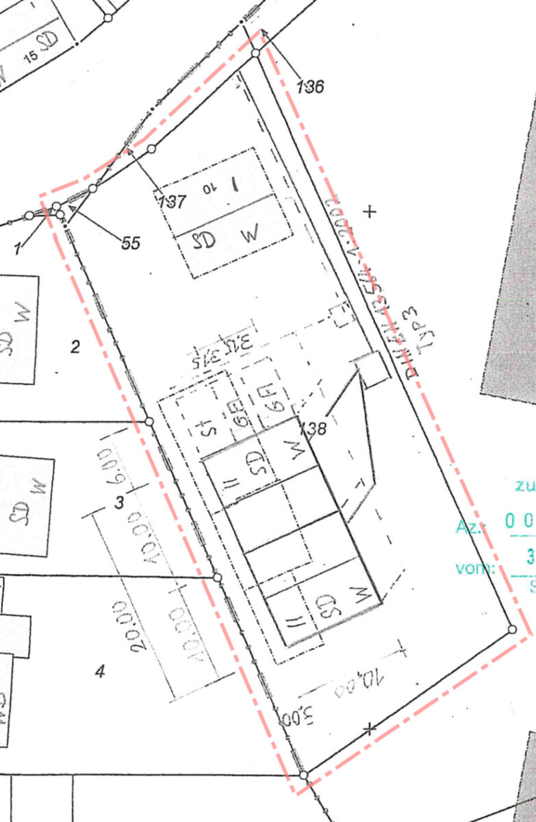
Für den hinteren Teil des Grundstücks gibt es eine positive Bauvoranfrage (siehe Bild) für eine Doppelhaushälfte.
Gerne zeige ich Ihnen dieses besondere Objekt persönlich.
Lage
Das Objekt befindet sich in einer 30er Zone in Alt-Remscheid.Der ÖPNV, Geschäfte des täglichen Bedarfs, Schulen, Kindergärten,
Ärzte etc. finden Sie im unmittelbaren Umfeld.
Naherholungsmöglichkeiten sind fußläufig erreichbar.
Energieausweis
Ausstattung
* ca. 134 qm Wohnfläche* ca. 1448 qm Grundstück
* großer Wohn-Essbereich
* Klimaanlage in Wohnzimmer und Schlafzimmer
* t/w elektrische Jalousien
* 3 Schlafzimmer
* ausgebauter Keller mit Sauna, Fitnessbereich, Küchenzeile, Gäste WC
* Gaszentralheizung
* ca. 80 qm große Doppelgarage
* u.v.m.
Sonstige Angaben
Die IP-NRW Immobilienpartner GmbH ist geschäftsansässig in der Aue 76, 42103 Wuppertal. Die Gewerbeerlaubnis nach §34c GewO erteilt durch die Stadt Wuppertal liegt vor.Gerne begleiten wir Sie Schritt für Schritt zu Ihrer Wunschimmobilie entweder beim Kauf, oder bei einer Anmietung.
Unser Mieterservice:
- Beschaffung aller relevanten Unterlagen
- Bereitstellung der Mietvertragsentwürfe unter Berücksichtigung der neuesten Rechtsprechung
- Vorbereitung und Durchführung von Besichtigungen
- Unterstützung bei Vertragsverhandlungen
- Hilfe bei Umbau und Sanierung
Unser Vermieterservice
- Exposéerstellung
- Bonitätsprüfung
- Durchführung von Besichtigungen
- Vorbereitung und Abschluss des Mievertrages
Unser Käuferservice
- Finanzierungen und Kredite
- Kostenfreie Wertermittlung
- Vorbereitung der notariellen Abwicklung
- Wohnflächen-Berechnung
- Sanierung / Renovierung
- Haus- & Mietverwaltung
Unser Verkäuferservice
- Erstellung des Exposés
- bebilderte Inserate
- diskrete Vermarktung
- Markt-Analyse
- kostenlose Vermarktung Ihrer Immobilie
- Bonitäts-Prüfung der Käufer
- Schufa & Creditreform Abfrage
- Erstellung eines Verkaufsvideos
Wichtiger Hinweis:
Das Geldwäschegesetz (gem. §2 Abs. 1 Nr.10 GwG) vom 29.11.2011 verpflichtet uns, die Identität des Interessenten festzuhalten. Wir bitten Sie daher, sich beim Ersttermin durch ein gültiges Ausweisdokument auszuweisen.
Bei juristischen Personen / Firmen ist der Handelsregisterauszug vorzulegen.
Selbstverständlich werden Ihre Daten diskret behandelt. Für Ihr Verständnis danken wir.
Alle Angaben zur Immobilie haben wir in Rücksprache mit dem Eigentümer sorgfältig zusammengestellt. Etwaige Rechen- und Druckfehler sowie Irrtümer müssen wir uns vorbehalten, sodass wir für deren Korrektheit keine Haftung übernehmen können.
Gesamtkosten
Übersicht der Kosten
Mehr Informationen
Ansprechpartner
Herr Stefan Dietz
IP-NRW Immobilien Partner-GmbH
Aue 76
42103 Wuppertal
01556 5792151
01556 5792151
stefandietz@ip-nrw.com